Farsight Vision Raises €7.2M for AI Battlefield Intelligence that Turns Drone Footage into 3D Maps
Axon and Estonia’s SmartCap lead seed round as Ukrainian-Estonian startup expands from frontline mapping to autonomous combat systems
KYIV, Ukraine — 13 February 2026
Ukrainian-Estonian defense tech startup Farsight Vision has raised a €7.2 million seed round to develop its AI-driven geospatial intelligence platform for battlefield planning and coordination, the company said.
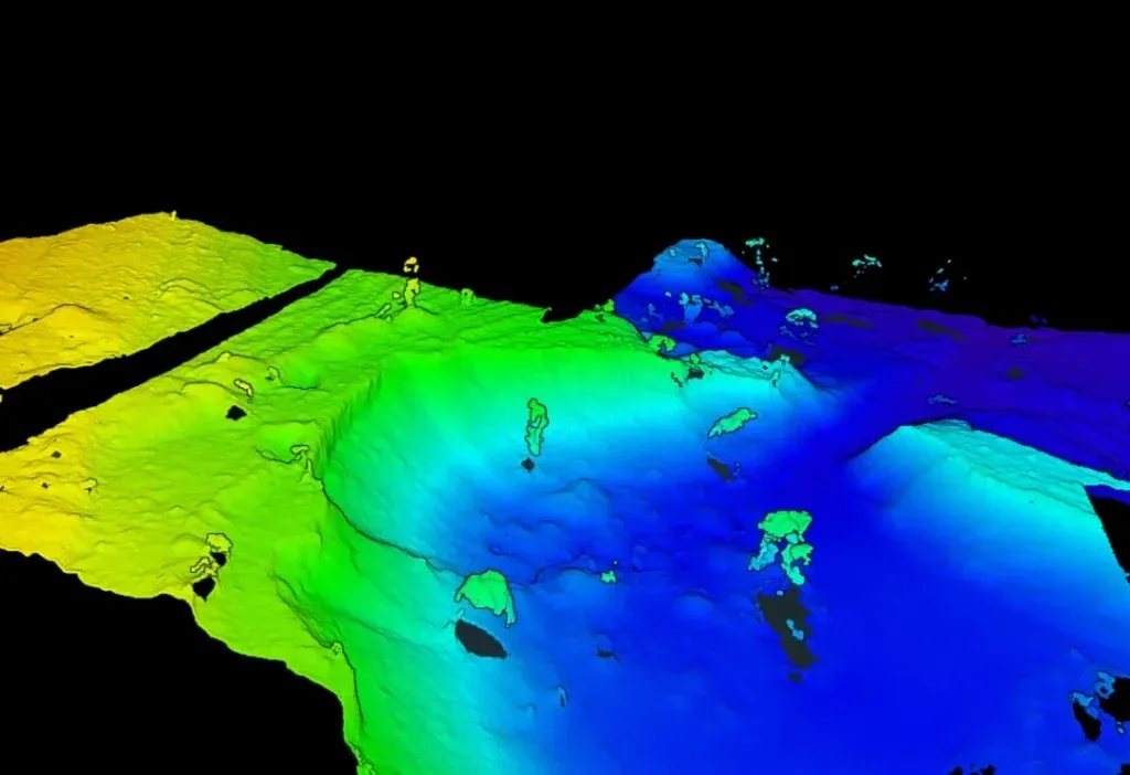
Farsight Vision builds software that fuses real-time data from the field and unmanned systems into continuously updated 3D situational awareness for operators. The platform is designed to support mission planning and execution for unmanned aerial vehicles and unmanned ground vehicles, including in environments where satellite navigation is unreliable or denied. The company positions the system as an alternative to static, satellite-derived intelligence layers.

The company's product suite includes tools that process drone imagery and video into terrain models and maps used for reconnaissance and operational planning. According to the company and multiple media reports, its technology is used by more than 100 units of Ukraine's defense and security forces and integrates with battle management systems and other operational software.
Farsight Vision was founded in 2023 by CEO and co-founder Viktoriia Yaremchuk and CTO and co-founder Volodymyr Nepiuk, who met at Lviv Business School of the Ukrainian Catholic University. The company's initial product focused on frontline mapping and has since expanded into a broader geospatial intelligence platform for unmanned systems and combat robotics.
“This investment marks an important milestone not only for our company. It also strengthens the global presence of Ukrainian defence innovation and opens new paths to long-term international partnerships,” said Yaremchuk.
The round was led by Arizona-based Axon Enterprise, a public safety technology company listed on the Nasdaq with a market capitalization exceeding $35 billion, and SmartCap, Estonia's state-backed defense fund, the company said. The round totals €7.2 million (about $8.6 million) and included participation from other European defense investors. Additional investors include Radix Ventures, Anker Capital, Resist UA, Final Frontier and Darkstar, an Estonian fund that invested €600,000 in the company in September 2024.
Farsight Vision said it will use the funding to automate robotic systems for logistics, navigation and weapon control, develop proprietary hardware modules, expand integration with UAV and UGV manufacturers and battle management systems, and improve the use and analysis of electronic warfare data for battlefield and critical infrastructure protection.
“Our goal is to create a continuously updated world model that both people and robots can rely on to understand terrain, infrastructure, and change. Farsight Vision is becoming the spatial foundation for how humans and robots operate together in the real world, said Nepiuk."
Farsight Vision said it has formed partnerships across several NATO countries and secured its first commercial deal in Asia as it expands beyond Ukraine.
In a statement included in the company announcement, Axon founder and CEO Rick Smith said:
"Farsight Vision is building decision-making systems in one of the most demanding environments in the world. When technology is shaped by real operational use, it evolves faster and with more clarity. We're excited to support a team whose work in Ukraine is generating insights that can improve how people and autonomous systems operate together globally."
The round comes amid rising private investment in Ukrainian defense technology startups as systems developed under wartime pressure are tested, iterated and deployed faster than typical procurement cycles. Private capital flowing into Ukrainian defense companies increased from $5 million in 2023 to more than $40 million in 2024 and $105 million in 2025, according to data from Brave1, Ukraine's defense tech initiative.
Support UA Tech JournalUA Tech Journal is an independent, reader-supported publication. Your donation helps us report on Ukraine’s startup ecosystem for a global audience. Donate |